禅城南庄大道这些路段,更畅通舒适了!
好消息!
又一条交通大动脉——南庄大道
改造升级“焕”新颜啦!
南庄大道
南庄大道是禅西片区的一条主要交通大动脉,也是禅西片区向东通往中心城区,向西通往西樵以及高明的主要道路,车流量较大。
南庄大道道路隐患整治工程
现状
南庄大道沿线有较多的陶瓷仓库,大车及货车流量大,原状路面出现坑槽、车辙、拥包、裂缝等病害,沿线各交叉路口病害尤为严重;
在南庄大道与广台高速辅道交叉口,由广台高速辅道驶出的车辆无法通过南庄大道直接到达对向广台高速辅道,给来往车辆造成不便,加剧了南庄大道的拥堵;沿线路段标志标线等交通安全设施不够完善。
对策
为了解决上述问题,南庄大道道路隐患整治工程对南庄大道(魁奇西路-登贤大道)进行路面、交通安全设施整治和南庄大道与广台高速辅道交叉口改造。
▲紫色道路为本工程项目
整治内容
# 沿线路面病害处治
对路面出现的龟裂、坑槽、沉陷等路面病害进行全面处治,确保公路技术状况稳定良好。
# 交叉路口改造
南庄大道与广台高速辅道交叉口改造及人行道、交通信号灯优化。
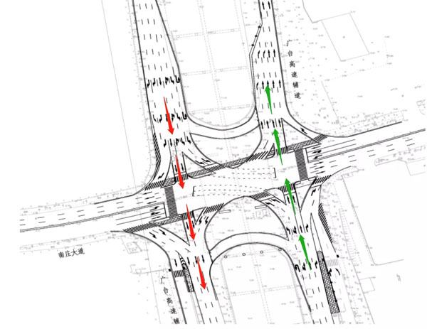
▲南庄大道与广台高速辅道交叉口改造前路线图;
红色路线为改造前高速辅道北往南对接路线图;
绿色路线为改造前高速辅道南往北对接路线图。
▲南庄大道与广台高速辅道交叉口改造后路线图;
红色路线为改造后高速辅道北往南对接路线图;
绿色路线为改造后高速辅道南往北对接路线图。
# 路面标线施划完善
南庄大道为南庄主要干道
日常交通车流较大
施工期间
为最大限度减少对现状交通的影响
沥青路面维修及标线施划均采用夜间作业
尽量减少占用车道造成交通拥堵
项目于2021年10月22日正式开工
目前已基本完成
今年6月,禅城区实施了高速出入口交通环境整治工程,不到一个月时间,对涉及季华路(紫洞路~佛山一环)、张槎路(华宝北路~禅西大道)、魁奇路西延线(罗格收费站~镇中路)、吉利大道(龙津西路~上淇村口)等路段的高速出入口进行交通环境整治。整治长度合计20.9km,建设内容主要包括路面病害处理、检查井提升、沥青罩面及标线恢复。
高速出入口交通环境的各项整治措施
极大地改善了禅城区道路通行条件
提升了城市道路品质
为市民出行创造了更加
便利、安全、畅通、舒适的道路出行环境
近日
央视又聚焦佛山!
央视财经频道《经济半小时》栏目
播出专题报道《制造业转型的“佛山功夫”》
用20多分钟的时长
聚焦制造业转型的“佛山功夫”
跟着交通君一起来看看!
报道指出,佛山是全国乃至全球的重要制造业基地,也是全国唯一的制造业转型升级综合改革试点城市,制造业占佛山经济总量的比重超过一半。为实现向制造业强市蜕变,佛山市提出了四大改变:改变工业不连片、供地不保障、产业不高端、招商不给力的状况。
为了改变工业不连片、供地不保障的困境,佛山从2018年开始了一场轰轰烈烈的村级工业园升级改造工程,从顺德开始,并陆续在全市铺开,为新产业发展腾出新空间,集聚新力量。
为了改变产业不高端、招商不给力的状况,佛山把精兵强将充实到招商一线,加强政策、资源、产业统筹,做到高端制造项目100%确保供地、签约承诺事项100%跟踪落实、重大链主企业100%专班服务。报道认为,佛山的这些举措不仅引来大鸟,还在培育大鸟。佛山通过政策引导,有效推动传统制造业企业的数字化智能化转变。
今年9月,佛山推出了针对企业转型的“数字贷”,此项贷款资金专用于企业数字化智能化转型,贷款利息由财政全部贴息。目前,佛山市已有36家制造业企业获得“数字贷”,银行授信金额合计14.28亿元。佛山还在全国率先推行政府补助秒报、秒批、秒付服务。截至2021年11月底,共有16.1亿元政府补贴“秒到”企业和个人。
佛山大力支持制造业企业进行数字化智能化转型。2021年8月,佛山宣布每年认定一批数字化智能化示范工厂,奖励1000万~2000万元;每年认定一批数字化智能化示范车间,奖励200万元。
为吸引更多企业在佛山发展,吸引更多外地企业来佛山投资,佛山不断推动营商环境改革,把打造一流营商环境作为一号改革工程,以最快最优的办事流程服务企业。报道认为,佛山是中国制造业的地标,也是中国制造的一个缩影。要想真正擦亮佛山制造这张名片,关键要解决的是制造业大而不强、全而不优的困境。佛山当下的改革正在通过政府各部门自身的积极转型,搭平台、造环境、促扶持,助力和推动企业不断发展升级。政企携手闯关,佛山制造一定能够找到再创佳绩的新力量。
政企携手“闯关”
练就转型“真功夫”
佛山制造业转型
犀利!
刷脸进站、刷脸支付、
刷脸考勤、刷脸解锁…
在享受“刷脸”带来的便捷时
你是否意识到
有人可能已经把你的人脸信息“偷走”了!
近日,南海区市场监管局
对南海某楼盘营销中心
开出一张18万元的罚单
原因正是楼盘营销中心
非法采集客户的人脸信息!
今年8月,南海区市场监管局接到举报,称某房地产公司未征得市民的同意就在楼盘使用人脸识别采集系统。南海区市场监管局迅速组织执法人员到现场检查。
经检查,当事人委托他人在楼盘的营销中心安装、维护人脸识别装置,通过无感抓拍自动采集相关人员的人脸信息,并储存到其设置的云端服务器后台。据当事人讲述,该人脸识别装置用于厘清购房消费者为自行到访还是中介推介,防止中介“截客”“飞单”赚取中介费。
在使用人脸识别装置过程中,当事人在营销中心内放置了采集人脸信息的特别提示牌,与实际购房的消费者签订了采集人脸信息的告知书,除此之外再没通过其他途径向消费者告知收集、储存、使用人脸信息的情况。
由于当事人的行为已侵害消费者个人信息依法得到保护的权利,南海区市场监管局根据相关规定,依法对当事人作罚款18万元的行政处罚。
该案为南海区首例侵害消费者个人生物识别信息依法得到保护的案件。
为什么当事人
使用设备收集消费者人脸信息
会被认定为侵害消费者的个人信息?
为什么当事人
已设置提示牌和与消费者签订告知书
但仍构成侵权违法行为?
人脸识别技术
有时候能给我们带来很多方便
但也存在被滥用的情况
对此,市场君提醒
↓↓↓
☞经营者在提供服务时必须守好消费者权益的红线,不能非法搜集消费者人脸信息数据,侵犯消费者个人权益。
☞消费者亦要加强隐私保护意识,警惕个人信息被非法搜集,如有发现经营者使用人脸识别装置非法获取消费者人脸信息,可直接拨打12345进行投诉举报。
微信
新浪微博
QQ空间
QQ好友
豆瓣
Facebook
Twitter
